![]() |
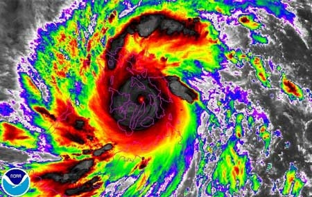
Siêu bão Haiyan (hay còn được biết đến với tên gọi "Yolanda" ở Philippines) là một trong những cơn bão mạnh nhất trong lịch sử thế giới và đã gây ra những tổn thất khủng khiếp về người và của khi quét qua Philippines tuần trước. Ảnh: Reuters/NOAA |

![]() |
![]() |
Siêu bão Haiyan (hay còn được biết đến với tên gọi "Yolanda" ở Philippines) là một trong những cơn bão mạnh nhất trong lịch sử thế giới và đã gây ra những tổn thất khủng khiếp về người và của khi quét qua Philippines tuần trước. Ảnh: Reuters/NOAA |
GD&TĐ - Những xe bọc thép chở quân sử dụng khung gầm xe tăng chiến đấu chủ lực có lẽ là phương tiện cần thiết với Quân đội Nga hiện nay.
GD&TĐ - Các nguồn thông tin mở cho biết đến năm 2018, Nga có thể vẫn lưu giữ tới 130 tiêm kích MiG-31 trong các kho dự trữ.
GD&TĐ - Quân đội Nga có kho vũ khí pháo lớn nhất và cũng có nguồn cung cấp đạn dược ổn định – Tạp chí Forbes tuyên bố ngày 16/7.
GD&TĐ - Xe tăng chiến đấu chủ lực T-90M do Nga sản xuất đã trở thành một trong những phương tiện chủ chốt trong chiến dịch quân sự đặc biệt ở Ukraine.
GD&TĐ - Cấu hình mới của tàu đổ bộ Dự án 11711 mang lại khả năng tác chiến cao hơn cho Hải quân Nga.
GD&TĐ - Dù điều kiện học tập có phần hạn chế nhưng, Dương Đình Thanh người dân tộc Tày vẫn sở hữu điểm số ba môn Toán, Vật lí và tiếng Anh vô cùng ấn tượng.
GD&TĐ - Trong ngày, tình trạng ngừng hoạt động của các thiết bị máy tính chạy Windows được báo cáo ở nhiều quốc gia khác nhau.
GD&TĐ - Tính đến ngày 1/10, tỉnh Lào Cai có 65 trường học bị thiệt hại do bão Bualoi gây ra, thiệt hại ước tính khoảng 30 tỷ đồng.
GD&TĐ - Tối 1/10, Quảng trường Tri Thức rực sáng trong đêm nhạc hội Uni-Stellar chào đón tân sinh viên K38 Trường ĐH Thăng Long, thu hút hơn 4.000 khán giả.
GD&TĐ - Với sự quan tâm của các cấp, ngành cùng nỗ lực của người dân, giai đoạn 2021-2025 tỉnh Cao Bằng đạt nhiều kết quả trong công tác giảm nghèo.
GD&TĐ - Ngày 1/10, trường học ở Hưng Yên đồng loạt tổ chức phát động Tuần lễ Hưởng ứng học tập suốt đời với nhiều hoạt động thiết thực, phong phú.
GD&TĐ - Xem lịch âm ngày 2/10/2025. Xem ngày tốt xấu, giờ đẹp xuất hành, khai trương, động thổ...
GD&TĐ - Câu lạc bộ Thép Xanh Nam Định tự tin đánh bại Eastern FC trên sân của đối thủ.
GD&TĐ - Mặc dù UAV Bayraktar Kizilelma vẫn chưa triển khai vũ khí, nhưng chuyến bay thử nghiệm có lắp bom Tolun cho thấy nó "sắp ra mắt".
GD&TĐ - Sở GD&ĐT Phú Thọ vừa ban hành hướng dẫn thực hiện nhiệm vụ khoa học, công nghệ và chuyển đổi số năm học 2025 – 2026.
GD&TĐ - Thủ tướng Phạm Minh Chính chủ trì Phiên họp Chính phủ nhằm đánh giá tình hình sau 3 tháng vận hành mô hình chính quyền địa phương 2 cấp.
GD&TĐ - UBND tỉnh Thanh Hoá yêu cầu làm rõ thông tin liên quan đến phản ánh học sinh bị bụi bẩn tấn công và học trong công trình chưa nghiệm thu.
GD&TĐ - Chung tay cùng đồng bào vùng bão, tỉnh Gia Lai dành 6 tỷ đồng hỗ trợ 5 tỉnh chịu ảnh hưởng nặng nề của bão Bualoi.
GD&TĐ - Bão Bualoi gây thiệt hại nghiêm trọng cho các hộ chăn nuôi ở Nghệ An, hàng vạn con gà bị chết khiến nhiều gia đình trắng tay.