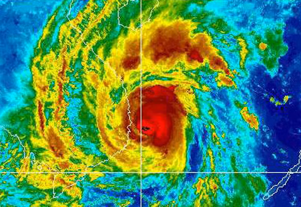
Sáng nay 4/11, bão số 12 giật cấp 15 đổ bộ vào Phú Yên – Ninh Thuận

GD&TĐ - Rạng sáng nay, tại các vùng Phú Yên, Khánh Hòa, Ninh Thuận sóng biển cao lên khoảng 6-8 mét cùng với đó là những tiếng gió rít ầm ầm như đã dự báo các vùng tâm bão này sức gió mạnh cấp 10-12,  giật cấp 15.

Sáng nay 4/11, bão số 12 giật cấp 15 đổ bộ vào Phú Yên – Ninh Thuận

Theo đó, với sức gió mạnh tới cấp 11 - 12, khi đi vào đất liền Nam Trung Bộ, bão số 12 có thể quật đổ cây cối, cột điện, làm tốc mái. Gió giật tới cấp 15 có sức phá hủy ghê gớm khi có thể đẩy lùi cả ô tô, cây cổ thụ rễ sâu 3 - 5m cũng dễ bị bật gốc. Đặc biệt, khi mắt bão quét qua, gió đổi hướng sẽ tạo thêm sức vặn, càng dễ làm đổ cây cối, nhà cửa, cột điện và có thể cuốn phăng nhiều đồ vật.

Hiện tại, các hộ dân những vùng xung yếu ven biển tỉnh tâm bão đã chủ động đóng bao cát, gia cố mái nhà và chằng chống nhà cửa.

Từ 2 ngày qua, lực lượng phòng chống thiên tai các xã, phường tại các tỉnh dự báo tâm bão đã vận động người dân sinh sống ở những khu vực xung yếu di dời đến nơi an toàn, nhất là người già, trẻ em và phụ nữ mang thai. Ngoài những vị trí địa phương đã bố trí, người dân có thể di dời đến nhà của người thân.

Đồng thời, Ban chỉ đạo Trung ương về phòng chống thiên tai chỉ đạo các địa phương kiên quyết sơ tán dân trong các nhà ở không an toàn, vùng trũng thấp cửa sông, ven biển.

Đặc biệt khẩn trương chặt tỉa cành cây, chằng chống nhà cửa, kho tàng, công trình đang thi công trước tối hôm nay; đảm bảo an toàn hệ thống lưới điện, sẵn sàng khắc phục sự cố hoàn thành. Phân luồng giao thông, đặc biệt trên Quốc lộ 1, đường Hồ Chí Minh, hủy bỏ các chuyuến bay qua khu vực trong thời gian bão ảnh hưởng.

Tại Phú Yên: Theo thống kê của UBND tỉnh Phú Yên, hiện toàn tỉnh có hơn 22.300 hộ dân với hơn 85.000 nhân khẩu đang ở các vùng xung yếu, cần phải di dời. Trong đó, hơn 10.000 hộ phải di dời tập trung; hơn 11.000 hộ di dời tại chỗ khi có mưa bão đến. Phú Yên hiện có hơn 4.000 tàu thuyền. Rút kinh nghiệm từ những mùa mưa bão trước nên lần này, ngay từ khi nhận thông tin bão, ngư dân nhanh chóng di chuyển tàu thuyền đến các vị trí neo đậu.

Tại Bình Định: Tính đến chiều 2/11 vẫn còn 23 tàu cá của ngư dân đang trong khu vực nguy hiểm. Tại Bình Định, đã có 1 người bị nước cuốn trôi và mất tích .

Theo dự báo Trung tâm Dự báo Khí tượng thủy văn Trung ương, từ sáng nay 4/11, tại vùng biển từ Quảng Ngãi đến Bình Thuận (bao gồm đảo Lý Sơn, Phú Quý) sẽ có gió mạnh dần lên cấp 8-10, vùng gần tâm bão đi qua cấp 11-12, giật cấp 15; biển động dữ dội.

Vị trí tâm bão số 12 sẽ ở vào khoảng 12,4 độ Vĩ Bắc; 109,1 độ Kinh Đông, trên đất liền các tỉnh từ Phú Yên đến Ninh Thuận. Cấp độ rủi ro thiên tai bão: cấp 3; riêng các tỉnh Phú Yên, Khánh Hòa, Ninh Thuận cấp 4.

Ven biển từ Bình Định đến Ninh Thuận, khu vực có khả năng cao 

Tin tiêu điểm

Đừng bỏ lỡ

Cô giáo Zơ Râm Thị Hồng hướng dẫn học viên cách làm bài.

Học xóa mù chữ để phát triển kinh tế

GD&TĐ - Lớp xóa mù chữ của cô Zơ Râm Thị Hồng (xã Thạnh Mỹ, TP Đà Nẵng) có nhiều học viên làm kinh tế giỏi. Họ đi học chữ để ghi sổ sách nhập hàng.